558 Jedburg RoadSummerville, SC 29483




Mortgage Calculator
Monthly Payment (Est.)
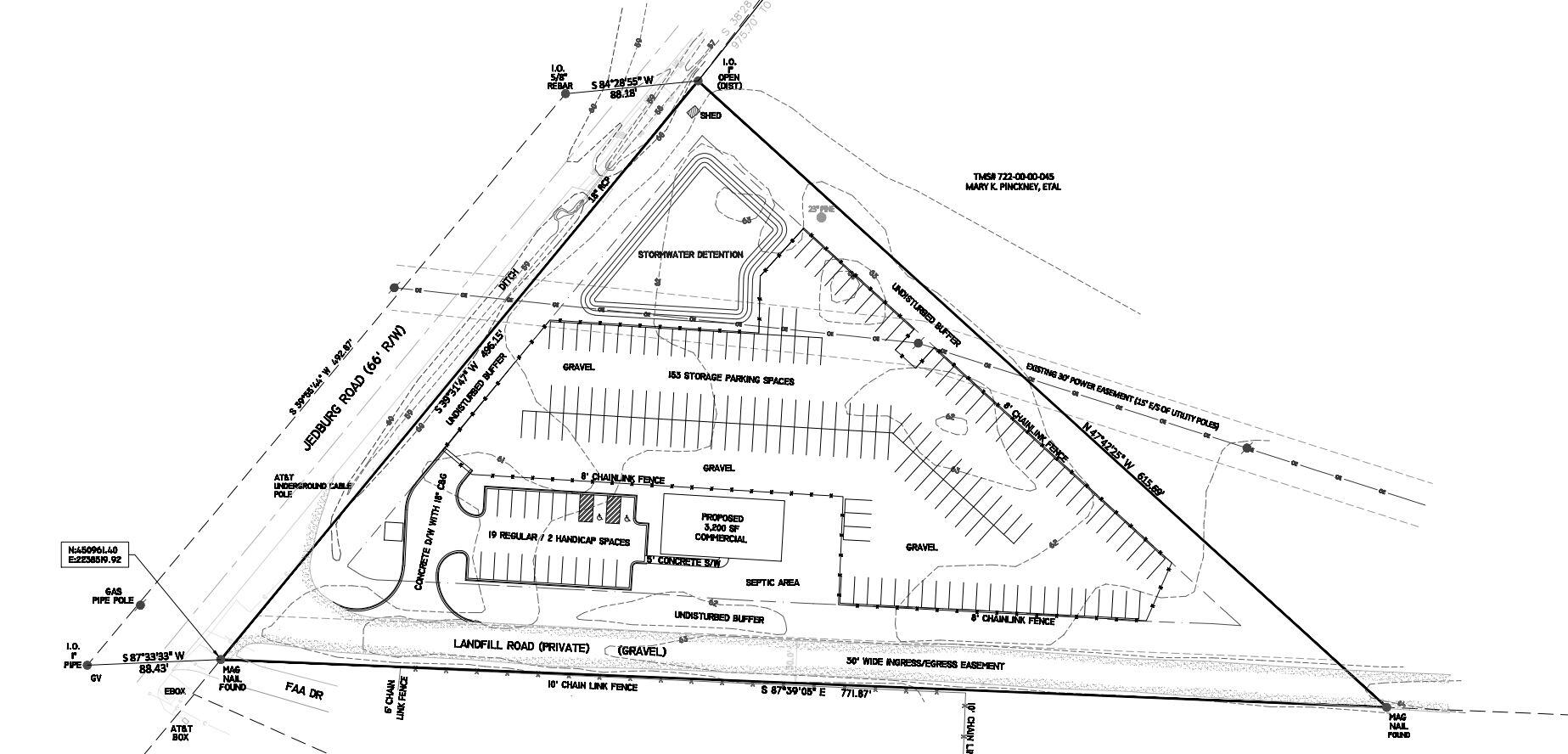
$5,817558 Jedburg Rd offers an expansive tract of land that spans 3.5 acres, boasts approximately 152k square feet of undeveloped space and is less than 1 mile from Interstate I-26. This property is zoned for the highly sought after Light Industrial (LI) designation which allows for flexible commercial and industrial activities and a wide range of business endeavors. 558 Jedburg Rd, also referred to as 570 Jedburg Rd, is identified by Tax Map Number (TMS) #722-00-00-044 and falls within Berkeley County. Conceptual plans & surveys etc available upon request.
| 4 days ago | Listing updated with changes from the MLS® | |
| 4 days ago | Listing first seen on site |
Listing information is provided by Participants of the CHS Regional MLS. IDX information is provided exclusively for personal, non-commercial use, and may not be used for any purpose other than to identify prospective properties consumers may be interested in purchasing. Information is deemed reliable but not guaranteed. Copyright 2026, CHS Regional MLS.
Last checked: 2026-01-15 06:47 AM UTC
Did you know? You can invite friends and family to your search. They can join your search, rate and discuss listings with you.